III. Einsatz, Herstellen und Verlegen von Minen, F. Verminen von Straßen, Wegen und GeländeIII. Einsatz, Herstellen und Verlegen von Minen, G. Waffenwirkung auf MinenfelderInhaltsverzeichnis
Ausbildungsvorschrift für die Pioniere - Teil 4b - Minen und Zünder
III. Einsatz, Herstellen und Verlegen von Minen
F. Verminen von Straßen, Wegen und Gelände

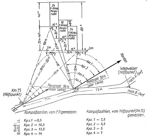
Bild 82.
Minenplan eines Minenfeldes.
(Beispiel für kartenmäßiges Festlegen).

Erläuterung zu Bild 82:
F.P. = Festpunkt.
P 1, P 2 =

eingemessene Punkte, 2 m vor der hinteren Grenze des Minenfeldes ent-fernt, durch Pfähle gekennzeichnet, die möglichst tief in den Boden einzu-schla-gen sind und noch etwas herausragen müssen.

P 3, P 4 =

eingemessene Punkte, 2 m von den Eckpunkten der Minenfeld-Teilabschnitte entfernt, in gleicher Weise gekennzeichnet wie P 1und P 2.

 

Der Peildraht (oder Leine) 50 m dient zum Wiederfinden von P 1, der Peil-draht (oder Leine) 58 m zum Wiederfinden von P 2, der Peildraht (oder Lei-ne) 68 m zum Wiederfinden von P 3, der Peildraht (oder Leine) 87 m zum Wiederfinden von P 4.

 

Zum Erleichtern des Wiederfindes dienen die vom Festpunkt zu den Punkten P 1, P 2, P 3 und P 4 festgestellten Kompaßzahlen (Marsch-kompaß).

 

Zum Überprüfen werden die Kompaßzahlen von einem der Hilfspunkte zu den Punkten P 1, P 2, P 3 und P 4 gleichfalls im Minenplan festgelegt, so daß die Punkte P 1, P 2, P 3 und P 4 notfalls auch von diesem Hilfspunkte aus ermit-telt werden können.

Minenkarten, aus denen eine Gesamtübersicht von Minensperren hervorgeht, erhalten außer dem Pionierbataillon, das die Minensperren angelegt hat, nur die Div.-Stäbe, Gen.-Kdos., Armee-Kdos., Heeresgruppen-Kdos. und der General der Pioniere und Festungen beim Ob.d.H.

Bei feindlichen Einbruch sind Minenpläne und Minenkarten zu vernichten.
Der Minenplan muß enthalten:
1. Benennung der Pioniereinheit, die das Minenfeld verlegt hat.
2. Vermessungsunterlagen:
  a) Festpunkte des Minenfeldes,
  b)

Lage des Festpunktes zu mindestens zwei kartenmäßig festliegenden Punkten (z.B. Wegegabel, Kilometerstein usw.),

  c)

Kompaßzahlen vom Festpunkt und einem der Hilfspunkte zun den Punkten P 1, P 2, P 3, P 4 (Marschkompaß),

  d) hintere Grenze der Minenfelder der einzelnen Züge,
  e) Breiten- und Tiefenausdehnung der Gruppenminenfelder.
3. Zahl und Art der Minen,
4. Form und Art der Verlegung, Bodenbeschaffenheit,
5. Zündungsart (ob gegen Wiederaufnahme gesichert),
6. Unterschrift des verantwortlichen Pionieroffiziers.

Wichtig ist, daß bei etwaigen Änderungen der Minensperre die Minenpläne ergänzt werden. Hierbei sind alle verteilten Minenpläne zu berücksichtigen.

Bei Ablösung sind die Minenpläne bei sorgfältiger örtlicher Einweisung zu übergeben. Über-gabe und Übernahme sind schriftlich zu melden.

Minenpläne sind gegen unbefugten Zugriff sicher aufzubewahren. Besteht Gefahr, daß sie z.B. bei überraschendem Angriff in Feindeshand fallen, sind sie zu vernichten. Keinesfalls dürfen sie Stoßtrupps, Erkundungstrupps usw. für ihre Unternehmungen mitgegeben wer-den.

Das Vermessen jeder einzelnen Mine wird sich meist aus Zeitmangel nicht durchführen lassen. Deshalb ist lediglich der Geländeabschnitt, in dem sich das Minenfeld befindet, in seinen Grenzen genau festzulegen. Bei größeren Minenfeldern ist eine Unterteilung not-wendig.

Bild 83. Minenplan für Minen und Straßen
(Beispiel für kartenmäßiges Festlegen).

150. Zum Anlegen eines Minenfeldes bezeichnet der Kompanietrupp den Festpunkt. Der Festpunkt muß kartenmäßig festliegen und durch Punktbestimmung so vermessen werden, daß er jederzeit von einem anderen Trupp im gleichen Verfahren aus den vorhandenen Unterlagen gefunden werden kann. Falls im Gelände nichts vorhanden ist, das als Fest-punkt dienen könnte, so ist ein Pfahl in den Boden einzuschlagen und kartenmäßig genau festzulegen, damit er jederzeit im Gelände wiedergefunden werden kann.

Zur Bestimmung der hintern Grenzen eines Minenfeldes (Bild 82) hat sich – solange kein Richtkreis zur Verfügung steht – folgendes Verfahren als zweckmäßig erwiesen:

2 m rückwärts der Endpunkte der hinteren Grenze des Minenfeldes (Sicherheitsabstand) werden an den Punkten "P 1" und "P 2" Pfähle (fest) so in den Boden eingeschlagen, daß sie noch etwas herausragen. Die Entfernung dieser Pfähle vom Festpunkt wird gemessen und in den Minenplan eingetragen. Zum Wiederfinden des Punktes "P 1" wird mit einem auf die Länge der gemessenen Entfernung Festpunkt– Punkt "P 1" ausgestreckten Peil-draht oder Leine von rechts auf den Punkt "P 1" zugeschritten, bis der bei P 1 einge-schlagene Pfahl gefunden ist; in gleicher Weise wird mit einem auf die Länge der Entfer-nung Festpunkt–Punkt "P 2" ausgestreckten Peildraht oder Leine von links auf den Punkt "P 2" zugeschritten, bis der bei P 2 eingeschlagene Pfahl gefunden ist. 2 m von den somit wiedergefundenen Punkten "P 1" und "P 2" liegen dann die Endpunkte der hinteren Grenze des Minenfeldes.

In gleicher Weise werden die Punkte "P 3" und "P 4", die 2 m rückwärts der Eckpunkte der Minenfeld-Teilabschnitte liegen, gekennzeichnet und wiedergefunden.

Das Minenfeld steht rechtwinklig auf seiner hinteren Grenze (die 2 m von P 1– P 2 ent-fernt ist) als Grundlinie. Zum Einloten der rechten Winkel kann jedes beliebige Buch ver-wendet werden. Das Buch wird hierzu genau in Augenhöhe gehalten und über die Buch-kante hinweg wird einvisiert.

Die Zugtrupps stellen dann die Minenpläne für die Minenfelder ihrer Züge her, die von den Kompanietrupps zusammengestellt werden.

Die Minen werden von den einzelnen Gruppen in den ihnen zugewiesenen Streifen in der befohlenen Form verlegt und auf Befehl – bei den am weitesten feindwärts liegenden Min-en beginnend (137, 145, 147) – entsichert.

Nach Möglichkeit sind die Minenfelder vor dem Verlegen der Minen zu vermessen und zu verpfählen (Zeitersparnis).

Ist im Ausnahmefall ein Minenfeld verlegt worden, das nicht sofort vermessen werden konnte, so muß ein geeigneter Punkt als Festpunkt nachträglich bestimmt werden, von dem aus die hintere Grenze des Minenfeldes baldigst nachträglich zu vermessen ist.

III. Einsatz, Herstellen und Verlegen von Minen, F. Verminen von Straßen, Wegen und GeländeIII. Einsatz, Herstellen und Verlegen von Minen, G. Waffenwirkung auf MinenfelderInhaltsverzeichnis